Anthony Trace, Off Eastern Main Road, Manzanilla
Overview
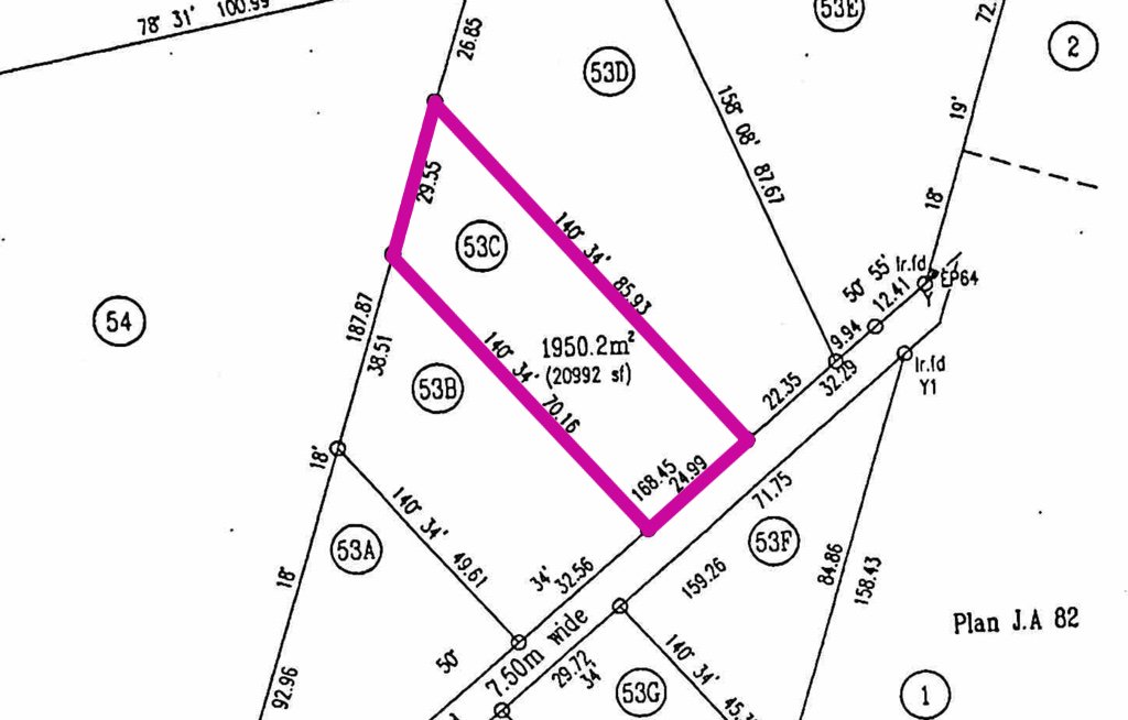
Freehold parcel of land comprising 20,991sf, ideally located in close proximity to the Eastern Main Road. The property features a variety of mature fruit trees and offers excellent potential for residential development or investment. – RS55527
Details
-
Property ID:RS55527
-
Lot Area:20991sf sqft
-
Property Status:



